| 物件番号 | TY0623-01 |
|---|---|
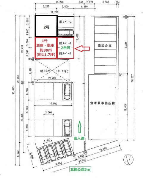
| 物件名 | 小曽根3-G:倉庫・車庫(1号) |
| 階・号室 | 1階/1号区画 |
| 種別 | 倉庫<平屋倉庫> |
| 所在地 | 豊中市小曽根 3丁目 |
| 交通 | 大阪メトロ御堂筋線 「 江坂 」駅 徒歩 |
| 用途地域 | 第一種住居地域 |
| 竣工年月 | 平成 28 年( 2016 ) 11 月 |
| 構造 | 鉄骨造 地上 1 階 建 |
| 接道 | 西・進入路4m ~北・公道5m |
| 使用面積 | 38.98 ㎡ (11.79坪 ) |
| 賃料 | ¥143,000 @12,129 |
| 共益費 | 無 |
| 月額合計 | ¥143,000 |
| 土地面積 | - |
| 敷 金 | ¥286,000 |
| 礼 金 | ¥143,000 |
| 駐車場 | 有 前面空地・込み |
| 設備 | ★平屋建倉庫:36.00㎡(11.79坪)倉庫/車庫など ★Ⓟ前面空地:2台可(内部入庫も可) ★間口6m×奥行6m×高3m ★手動シャッター2面・中柱あり ★照明 【注】工場使用は不可(住居地域) |
| 備考 | ★現在空物件⇒即時引渡し可 ★内覧手配致しますのでお気軽にお問い合わせ下さい! ■賃貸保証契約基本要:別途保証料支払い要 *企業様の規模内容にて相談可* ■借家人賠償付火災保険加入(見積り要) ■仲介手数料=賃料1ヶ月分+消費税 |
| 取引態様 | 媒介 |
小曽根3-G:倉庫・車庫(1号)
★平成28年建築の倉庫/車庫・内環状線まですぐの立地・Ⓟ前面空地~2台可です!
アクセスマップ
お問合せ













