| 物件番号 | M0087-01 |
|---|---|
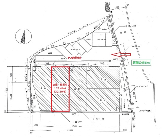
| 物件名 | 外院2-I:倉庫 |
| 階・号室 | 1階/西~2軒目 |
| 種別 | 倉庫<平屋倉庫> |
| 所在地 | 箕面市外院 2丁目 |
| 交通 | 北大阪急行 「 箕面菅野 」駅 徒歩 22分 |
| 用途地域 | 第二種中高層住居専用地域 |
| 竣工年月 | 平成 1 年( 1989 ) 8 月 |
| 構造 | 鉄骨造 地上 1 階 建 |
| 接道 | 東・6m |
| 使用面積 | 107.24 ㎡ (32.44坪 ) |
| 賃料 | ¥203,500 @6,273 |
| 共益費 | 無 |
| 月額合計 | ¥203,500 |
| 土地面積 | - |
| 敷 金 | 2.5ヶ月 |
| 礼 金 | 2.5ヶ月(+消費税) |
| 駐車場 | 有 賃料に含む |
| 設備 | ★平屋建:107.25㎡(32.44坪)倉庫 *未登記の中2階部分あり*【残置物扱い】 ★駐車スペース有り2台可(賃料に込み) ★手動シャッター(内部サッシドア) ★トイレ ★1階部奥に間仕切りスペース有り ■照明器具は【残置物扱い】 ■中2階部を引き継ぐ場合、退去時解体撤去義務あり ■検査済証なし 【注】賃貸保証等:基本加入要 【注】住居地域の為、工場使用不可・車・バイク関連の業種不可 |
| 備考 | ★現在賃貸中⇒2026年3月中旬~引渡し可(2月末退去) ★内覧手配致しますのでお気軽にお問い合わせ下さい ■賃貸保証契約基本要:別途、保証料支払い要 *企業様の規模内容にて免除相談余地あり ■借家人賠償付火災保険加入(指定損保なし) ■仲介手数料=賃料1ヶ月分+消費税 |
| 取引態様 | 媒介 |
外院2-I:倉庫
【新御堂筋】まで3分程度の立地・平屋倉庫33坪・前道路広く4t進入可能・P2台枠付きです!
アクセスマップ
お問合せ






















